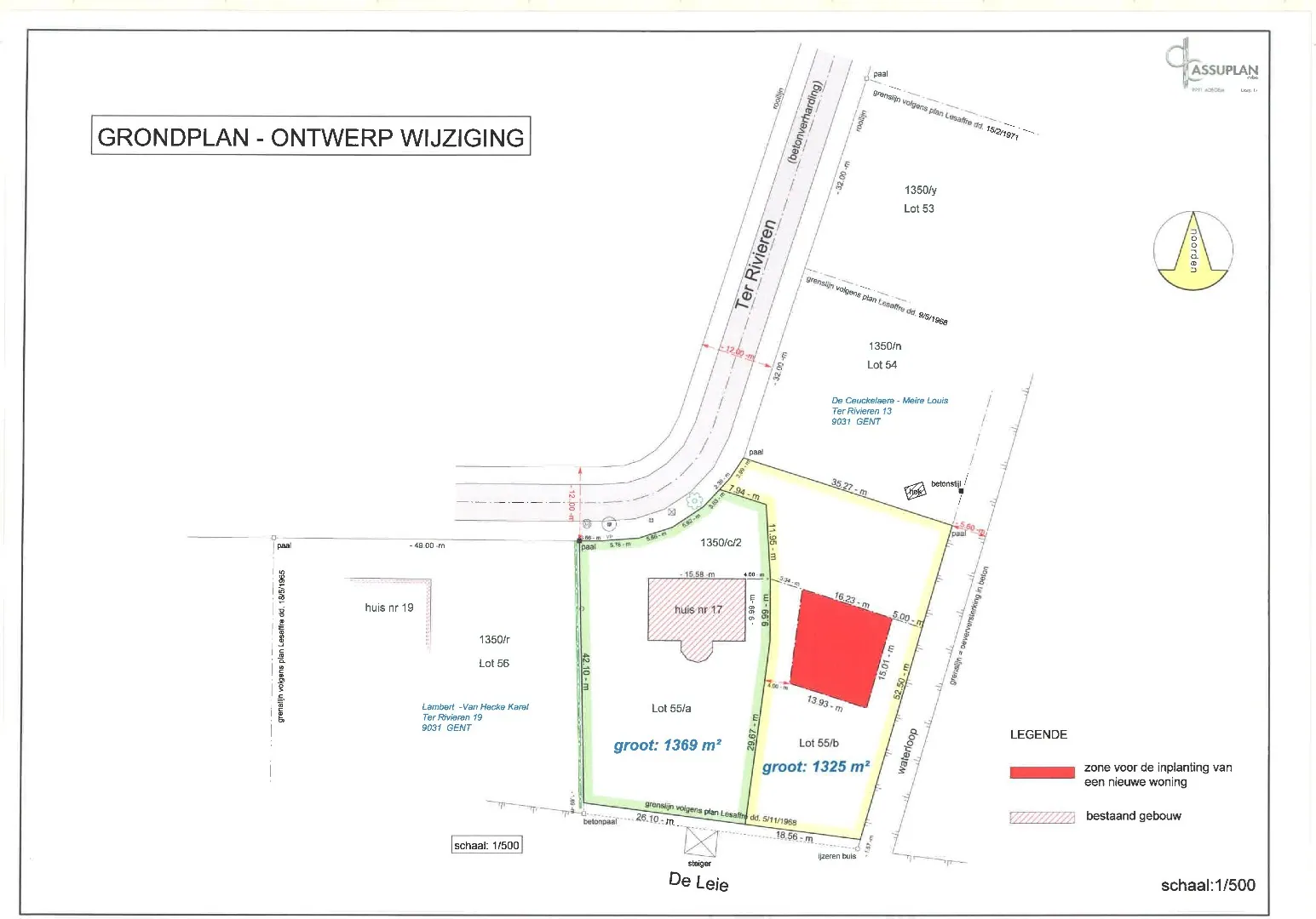
Zuidgeoriënteerde bouwgrond op een perceel van 1325m²
Drongen
Ter Rivieren
17
Prijs op aanvraag
Schitterend gelegen perceel bouwgrond langs Ter rivieren In Drongen Baarle met 18 meter aan de Leie.
Rustige, kindvriendelijke en groene woonomgeving.
Het zuidgeoriënteerd perceel omvat 1325 m²
Bouwvoorschriften voor een open bebouwing met garage al dan niet inpandig te bekomen via kantoor.
Mogelijke geveldiepte 15 m
Gevelbreedte +/- 13.93 à 16.23m
max. 7 m kroonlijst nok max. 10.
Vrije dakvorm.
Zonnepanelen, zonneboilers toegelaten.
Maakt deel uit van een goedgekeurde niet -vervallen verkaveling .
max.25% nevenbestemming.
Gunstig gelegen ook nabij het centrum van Drongen, diverse winkels, openbaar vervoer, scholen, ....vlotte verbindingen E40.
Meer info of een bezoek contacteer sofie@makelaarshuys.be of bel op 0468 24 65 84
Algemeen
| Adres: | Ter Rivieren 17 Drongen |
| Referentie: | svds- 2292g |
| Type: | Grond |
| Beschikbaar vanaf: | Bij akte |
| Perceeloppervlakte: | 1.325 m² |
| Type constructie: | Traditioneel |
| Bouwlagen: | 2 |
| Algemene staat: | Op te frissen |
Indeling
| Badkamers: | 2 |
| WC: | 4 |
| Bureau: | Ja |
| Woonkamer: | Neen, Doorzonkamer |
| Keuken: | Neen, Open keuken, Ingericht met toestellen |
| Zolder: | Ja |
| Praktijkruimte: | Ja |
| Veranda: | Ja |
| Balkon: | Ja |
| Terras: | Ja |
| Wasplaats: | Ja |
| Tuin: | Ja |
| Tuin oriëntatie: | Zuid |
| Tuin kwaliteit: | Aan te leggen |
| Parking: | 4 |
Comfort
| Snelweg: | Ja - op 1500 m tot 2000 m |
| Treinstation: | Ja - op 1000 m tot 1500 m |
| Busknooppunt: | Ja |
| Bushalte: | Ja |
| Winkel: | Ja - op 1000 m tot 1500 m |
| School: | Ja - op 1000 m tot 1500 m |
| Kinderopvang: | Ja |
| Bank: | Ja - op 1000 m tot 1500 m |
| Ontspanning: | Ja - op minder dan 500 m |
| Restaurant: | Ja - op 1000 m tot 1500 m |
| Raamwerk: | Aluminium |
| Dak: | Zadeldak |
| Beglazing: | Dubbel |
| Verwarming: | Heteluchtverwarming, Open haard, Aardgas |
Wettelijke gegevens
| Kadastrale Oppervlakte: | 1.325 m² |
| Voorkooprecht: | Ja |
| Verkavelingsvergunning van toepassing: | Ja |
| Stedenbouwkundige bestemming: | Woongebied |
| Overstromingsgevoelig: | Effectief overstromingsgevoelig gebied |
| Overstromingsgebied: | Niet meegedeeld |
| Overstromingskans perceel (P-score): | |
| Overstromingskans gebouw (G-score): | |
| Erfgoed: | Geen beschermd erfgoed |
Ik wens meer informatie over volgend pand:
Drongen
Ter Rivieren
17
Prijs op aanvraag
Informeer een vriend
Drongen
Ter Rivieren
17
Prijs op aanvraag
Drongen
Ter Rivieren
17
Effectief overstromingsgevoelig gebied